坂戸市関間 売地(売買 土地) | 坂戸市関間 | 東武東上線沿い不動産売却・購入のご相談はヤマダ不動産坂戸店まで!

坂戸市関間 売地 | 坂戸市関間の不動産物件

【土地】
価格 1,760万円 (税無)
東武鉄道東上線 若葉駅 徒歩11分
スマホ表示
物件コード:114600
所在地 坪単価 土地面積 建築条件
土地権利
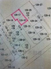
埼玉県坂戸市関間1丁目 37.9万円 154.82m2
(46.83坪)
-
所有権

物件基本情報

物件種目 土地
物件名称 坂戸市関間 売地
所在地 埼玉県坂戸市関間1丁目
交通
東武鉄道東上線 若葉駅 徒歩11分
東武鉄道越生線 坂戸駅 徒歩14分
土地面積 154.82m2 (46.83坪)
建ぺい率/容積率 60% / 200%
地目 宅地
都市計画 市街化区域
用途地域 準工業地域
最適用途 住宅用地
学校 千代田小学校 / 坂戸中学校
設備・条件
  • ガス:都市ガス
  • 汚水:公共下水
  • 水道:公営水道
ヤマダ不動産 坂戸店
Tel049-298-3966
お気軽にお問い合わせください。

画像・写真

周辺地図

地図を表示中...
ストリートビュー未対応エリアです。

物件詳細情報

物件用途 - 接道 私道 南東 幅員4.2m (接面8.2m)
地勢 - 私道面積 -
土地面積基準 実測 道路位置指定 あり
借地条件 - 不適合接道 -
地代 - セットバック -
現況 更地 国土法届出 不要
引渡条件/時期 - / 相談 取引態様 仲介
設備その他 -
特記事項 -
備考 -
情報更新日 2025/12/14 広告有効期限 2025/12/28
電話でお問い合わせ
ヤマダ不動産 坂戸店 店舗情報
[所在地] 埼玉県坂戸市八幡1丁目3-45 家電住まいる館YAMADA坂戸店 2階 
[営業時間] 10:00~19:00 定休日:毎週水曜日
Tel049-298-3966
お気軽にお問い合わせください。